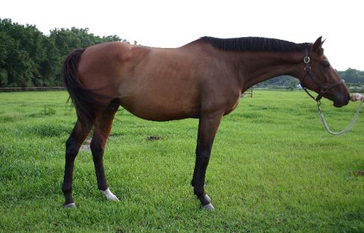
Lily C
8-yr-old, 15.3 hh mare by Lil's Lad out of an Unbridled mare

Lily was purchased as a hunter broodmare after we foaled her out for her former owner. Her TB foals were very
nice, lovely movers, with her stunning head. Her 2009 filly by the Holsteiner stallion Cevin Z is stunning. We are
planning on keeping this filly, which is why we've decided to offer Lily for sale.

Lily is offered for sale in foal to Mersley Mon Capatain. He is also the sire of Zymphony (pictured on our index
page), who has competed with great success in the yearling and 2-yr-old Hunter Breeding classes in 2008 and
2009.

Lily is recorded in Zangersheide's mare book; all of her foals by licensed jumper stallions in a WBFSH-approved
studbook are eligible for "Z" papers.
Cera Z, 2009 filly by Holsteiner stallion Cevin Z